About Rindge Rd
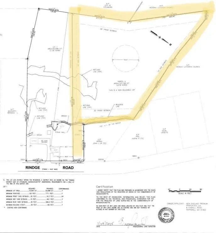
Buyer and Buyer agent to perform due diligence and verify all building codes per City of Fitchburg. Parcel A is a Subdivision ‘Approval Not Required’ (ANR) plan of land and noted as “Non-Buildable” according to city official. Parcel A will require an Order of Conditions (OOC) from the City of Fitchburg Conservation Commission for the proposed crossing that will be need to access the upland area. This permit is issued through a Notice of Intent (NOI) that is submitted to both the Conservation Commission as well as the Massachusetts Department of Environmental Protection (MADEP). Once the crossing is approved, Parcel A as shown on the ANR Plan will be deemed buildable. See addendum attached! Do Not Walk the property without accompanied agent or appointment and Do not trespass on abutting properties.Buyer must sign hold harmless agreement prior to viewing. LA has a financial interest in the property as an owner.
Features of Rindge Rd
| MLS® # | 73420581 |
|---|---|
| Price | $115,000 |
| Acres | 3.38 |
| Type | Land |
| Sub-Type | Non-Buildable |
| Status | Active |
Community Information
| Address | Rindge Rd |
|---|---|
| Area | Fitchburg |
| City | Fitchburg |
| County | Worcester |
| State | MA |
| Zip Code | 01420 |
Amenities
| Is Waterfront | No |
|---|---|
| Has Pool | No |
Interior
| Fireplace | No |
|---|
Exterior
| Lot Description | Level, Sloped |
|---|
Additional Information
| Zoning | R |
|---|
Listing Details
| Agent | Prestige Homes Realty Team |
|---|---|
| Office | Prestige Homes Real Estate, LLC |
